【批前公示】关于六安正阳110kV变电站项目规划设计方案的公示
依据《中华人民共和国城乡规划法》和《关于城乡规划公开公示的规定》等相关规定,现将本方案进行批前公示,征询公众意见。如有意见者,请以纸质或者电子邮件形式与我局联系。(该方案为批前公示图,以最终我局审批公告为准)
一、项目概况
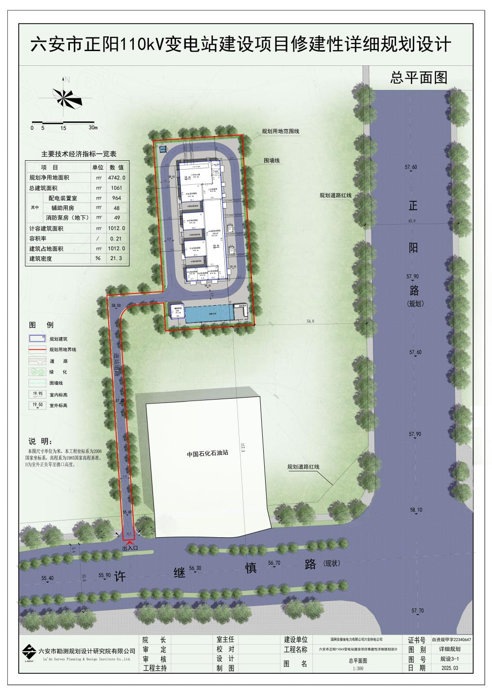
由国网安徽省电力有限公司六安供电公司建设的六安正阳110kV变电站项目,位于市开发区许继慎路以北、正阳路以西,该项目总建筑面积1061平方米,容积率0.21,建筑密度21.3%。
二、公示地点
六安市自然资源和规划局网站:http://zrzy.luan.gov.cn/ “规划批前公示”栏目。
三、 公示时间
2025年7月31日——2025年8月8日
四、 联系方式
1、联系单位:六安市自然资源和规划局
2、电子邮箱:99088187@qq.com
3、邮寄地址:佛子岭中路101号六安市自然资源和规划局
4、邮编:237000
5、电话:3908957
五、总平面图和效果图


专题首页
政策解读
回应关切
在线办事
依申请公开

皖公网安备 34150102000026号