【批后公示】六安市正阳110kV变电站规划方案批后公告

2025-09-27 09:21来源:金安区自然资源局文字大小:[ ]   背景色:       

依据《中华人民共和国城乡规划法》和《关于城乡规划公开公示的规定》等相关规定,现将本方案进行批后公告。

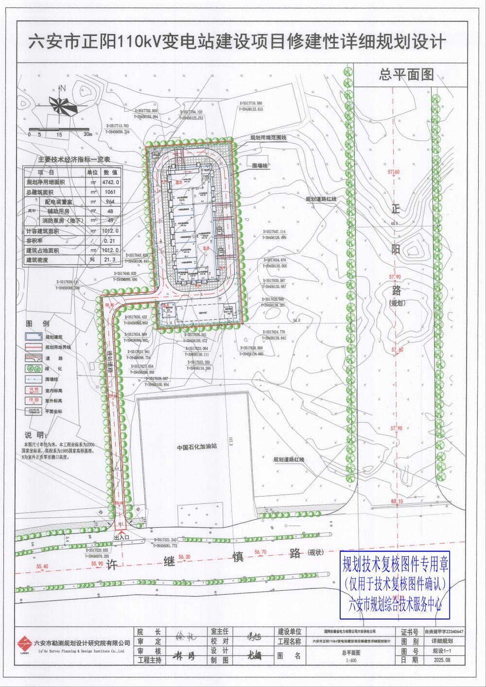
由国网安徽省电力有限公司六安供电公司建设的六安市正阳110kV变电站项目,位于市开发区许继慎路以北、正阳路以西,该项目总建筑面积1061平方米,容积率0.21,建筑密度21.3%。

正阳110kV变电站 (2).rar

政策咨询

如果您对该政策文件有疑问,可以拨打标题上方的电话咨询相关部门。